Nous affrétons un véhicule avec chauffeur à la journée pour rejoindre Amed sur la côte Est de Bali. Cette option nous permet d'associer des visites à notre trajet.
Pura Kehen:
Ce temple est un vieux sanctuaire hindou de l'Est balinais. qui daterait de 1206. Bien qu'il soit l'un des édifices le plus importants d'Indonésie, il n'en demeure pas moins loin des circuits touristiques classiques, et là est tout son charme..
.jpg) |
| L'entrée magnifique du temple |
Pura Besakih:
Voici le plus grand et le plus vénéré temple de Bali! Il est dédié aux trois grandes divinité hindoues: Brahma, Shiva et Vishnu. Le temple principal, avec ses autels et pagodes à 11 merus, est cerclé par d'autres temples secondaires. Suite à une importante éruption dans les années 60, cet ensemble de temples a été parfaitement restauré. Evidemment mieux vaut arriver tôt avant les cars de visiteurs. Un site impressionnant!
Sidemen:
Adossée au mont Agung (le plus haut volcan de Bali), cette région bucolique à souhait, offre un paysage vallonné sculpté de terrasses de riz et autres plantations. Le Sidemen rice trekking permet de faire une agréable balade à travers ces champs sur quelques kilomètres.
.jpg) |
| On y cultive la tomate, le manioc, les haricots, le riz, la papaye.. La région utilise beaucoup la rotation des cultures. |
 |
| Le piment a une place de choix dans la cuisine balinaise |
.jpg) |
| Le cacao est aussi cultivé |
Cascade Gembleng:
Non loin de Sidemen, un petit détour s'impose pour se rafraichir dans cette cascade étagée en bassins. Si on enlève les shootings instagram, le coin est top!
Le Water Palace de Tirtagganga:
Tirta signifie eau bénite et Gganga, le Gange, nom du célèbre fleuve indien. La source sacrée de ce palais royal à ciel ouvert est l'un des best seller de Bali, et on comprend vite pourquoi. Une ribambelle de statues hindoues entourent d'apaisants bassins où Carpes et nénufars vivent des jours heureux.. Malgré le monde, l'ambiance est sereine.
Rizières d'Abang et de Berina: A quelques kilomètres de la ville balnéaire d'Amed, nous sillonnons dans un premier temps avec notre chauffeur, puis un autre jour en scooter, ces belles collines verdoyantes que l'homme a dompté en terrasses pour faire prospérer le riz. Amed et sa côte:
Amed est une station balnéaire ou plutôt un secteur côtier qui s'étire le long de la mer de Bali englobant les bourgades de Jemeluk, Bunutan, Lipah.. Nous nous posons quelques jours ici pour buller en snorkeling sur les fameux spots du coin, et faire une plongée bouteille sur l'épave de l'Uss Liberty. Un coin vraiment sympa, une ambiance nonchalante, un climat estivale et une belle hospitalité, bref de quoi faire un bon cocktail.
.jpg) |
| Notre petit bungalow tout près de la mer |
.jpg) |
| Plage de sable noir, nous ne sommes pas loin du volcan |
 |
| Embarcations traditionnelles |
.jpg) |
| Diner sur la plage.. |
.jpg) |
| Parfait pour le coucher du soleil |
.JPG) |
| Volcan Agung au petit matin |
.jpg) |
| Le volcan au crépuscule |
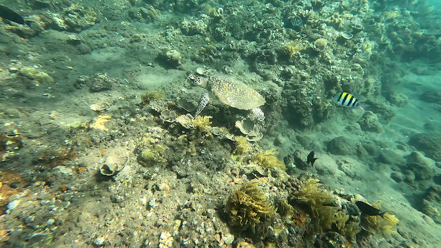
Le site de snorkeling de Pyramids sur Amed Beach: Un petit jus de fruits frais dans un café du bord de plage, on vous offre la douche et on a un œil sur les affaires le temps de l'observation sous marine, parfait! Un masque, un tuba, on se laisse dérivé par le courant le long de la plage, et on laisse défiler les images: Poissons multicolores, coraux de toutes les formes et même tortues marines.. A quelques kilomètres nous nous installons sur la plage de Jemeluk. Le spot de snorkeling (Palme, masque, tuba) est reconnu. A peine dans l'eau, et c'est parti! Un bel aquarium, avec un mini temple immergé en guise de refuge pour les poissons, et un dispositif pour relancer la croissance et le développement du corail. Super paisible, on adore cet endroit qu'on adoptera maintes fois.
.png) |
| Petit temple immergé |
.png) |
| Des Sergent Majors à profusion |
.png) |
| A Bali, même les poissons sont accros aux séances photos |
Un peu plus au sud, nous sautons dans une eau plus agitée, pour aller voir l'épave du navire japonais Wreck. Refuge de nombreux coraux, ce bateau est facilement accessible depuis le rivage. Malgré le manque de visibilité, la vision de cette épave fait toujours son effet.
Nous enchainons sur une plongée masque tuba à Lipiah.
.JPG) |
| Navire japonais |
 |
| Plage de Lipiah |
.JPG) |
| Fonds marins depuis la plage de Lipiah |
 |
| Des coraux plutôt préservés dans l'ensemble |
Le jour suivant non loin d Amed beach, nous partons passer la matinée à Tulamben pour une plongée bouteille sur l'épave du Uss Liberty (pas de photo possible). Un navire marchand américain coulé par les japonais pendant la 2ème guerre mondiale. Accessible depuis la plage, le spot de plongée est reconnu mondialement, car l'épave recouverte de coraux, est un lieu de prédilection pour la faune marine. Poissons multicolores, tortues.. La plongée est superbe!
 |
| Mont Agung |
 |
| Petite pause jus pour Aurore le temps de la plongée |
Pour nos 16 ans de vie commune, nous nous offrons un diner dans un restaurant un peu plus classe que nos warungs habituels. Nous jetons notre dévolu sur le Galanga dans la bourgade de Bunutan. Petit clin d'œil à l'un de nos restaurants asiatiques préférés à Argeles -sur-mer. Le cadre tropical est ultra charmant et la cuisine.. Une explosion de saveurs! On a adoré au point d'y retourner le lendemain midi!
 |
| Pain Naan au fromage, Gyozas aux légumes, en bas en droite nuggets de fruit du Jacquier |
.jpg) |
| Beleyag Tlengis: Tempeh, pommes de terres, haricots noirs, riz cuit avec des feuilles de combava et une sauce noix de coco. Accompagné d'une pulpe de coco fermentée et des champignons locaux. Extra! |
.jpg) |
| A gauche sorbet de combava (citron local) et noix de coco, la meilleur glace à la coco! A droite, un Kolak: Crême de coco, avec bananes, fruits du Jacquier et des perles asiatiques faites maisons |
.jpg) |
| Ikan à la Galanga: Poisson Mahi Mahi sauce curry coco combava et secret.. Pommes dauphines. Salade sauce citronnelle, soupe de courge |
.jpg) |
| Plateau végétarien: Soupe de courge, tempeh mariné, tofu frit, salade à la citronnelle, assortiments de piments et échalotes, pulpe de tamarin |
 |
| Crispy de patates douces |
Et voilà les aventures sur la côte Est se terminent.. Pour nous, l'une des régions les plus agréables de Bali. Loin du tourisme de masse et pourtant riche en choses à découvrir. L'atmosphère y est très tranquille.. On s'y sent bien!
 |
| Dernier lever de soleil avant de partir |
 |
| Dernière vue sur le Volcan |
 |
| Derniers moments chez Soka Amed Beach |
Une délicieuse palette de couleurs !!! Merci pour cette cueillette d'images si riches en variétés et contenus, le tout réalisé dans une ambiance toujours choisie paisible, propice sans doute à une meilleure appréciation de ce monde enchanteur.
RépondreSupprimerAh une étape toute en couleur! Et tellement relaxante, loin du tumulte des villes. Vraiment un chouette coin pour profiter du Bali coté mer! De gros bisous et merci pour ton commentaire
RépondreSupprimerMerci, je voyage grâce à vous, j'adore !!! Je crois que j'ai trouvé mon prochain voyage 😜.
RépondreSupprimerBisous à vous 2❤️❤️❤️
Avec plaisir! Ca te plairait je pense, tu trouves des ambiances zen, loin des foules. En plus on mange bien ..
SupprimerDe gros bizoos